조황관리HOME / 조황관리 / 상세정보

제목 : 볼락씨알죽입니다
등록일 : 2025-03-21
#갈치낚시 #여수갈치낚시은성호 #매일출조 #밤볼락 #왕볼락전문 #왕볼락전문 #여수선상낚시 #정직한조황 #여수선상낚시명가 #선상외줄뽈락낚시 #집밥처럼맛있는선상맛집 


오늘은 예정에도 없는 번개출항을

해보았습니다

출발전에 오늘은 조건이 별로 안좋다는걸

공지하고. 다소 일찍철수길에 오를각오로

얘기하고서 5분의 조사님과 동행했습니다

첫 포인트에서. 우당탕탕. 글고

야간낚시. 시작

밝은보름달과 약간 일렁거리는 파도 집어가 잘 안돕니다

기다렸습니다

결과 어군이 잡히면서 한번더 우당탕 그것이 전부였습니다

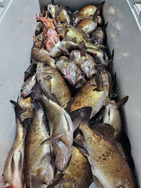
먹을만치만. 잡고 철수합니다

1000061793.jpg


1000061795.jpg


1000061794.jpg


1000061797.jpg


1000061796.jpg


1000061792.jpg

 
다음 출조는 담주가 될것같습니다

별도공지하겠습니다

수고하셨습니다

===== 여수 은성호 예약안내 ======

안녕하세요! 여수 은성호입니다.
먼길 찾아주시는 조사님들을 위해 항상 최선을 다하겠습니다. 

■ 예약문의 : 010-4702-8331
                      010-6317-3998

■ 오시는길 : 여수시 남면 독정길 23-1 

■ 여수 은성호 실시간 예약 바로가기 :
http://eunsung.sunsang24.com/


조황카드.gif


 
Top