조황관리HOME / 조황관리 / 상세정보

제목 : 선방했습니다
등록일 : 2025-03-25
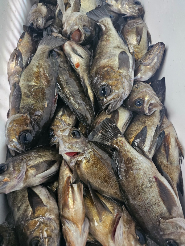
#갈치낚시은성호# 왕볼락전문.#참참참볼락입니다

기상이 왜 이런지 모르겄네요

강한 남서풍에 제대로 포인트진입이

어려운가운데. 그래도 선방했습니다

많은 마릿수는 아니지만. 먹을만치

잡고 철수길에. 올랐습니다

1000061956.jpg


1000061957.jpg


1000061960.jpg


1000061959.jpg


1000061958.jpg


1000061961.jpg


1000061962.jpg

오늘 자리여유 많습니다

예약문의  선장님 010 6317  3998
                            010 4702 8331
 


===== 여수 은성호 예약안내 ======

안녕하세요! 여수 은성호입니다.
먼길 찾아주시는 조사님들을 위해 항상 최선을 다하겠습니다. 

■ 예약문의 : 010-4702-8331
                      010-6317-3998

■ 오시는길 : 여수시 남면 독정길 23-1 

■ 여수 은성호 실시간 예약 바로가기 :
http://eunsung.sunsang24.com/


조황카드.gif


 
Top